W dniach 14 i 15 lutego, w godz. 16:30–23:00, nastąpi zamknięcie fragmentu Al. Marsz. Piłsudskiego na odcinku od skrzyżowania z ul. Świętojańską do ul. Bema. Szczegóły w komunikacie.
Gdynia Buduje

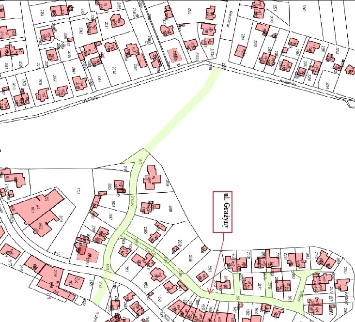
Budowa ulicy Grażyny

Ogłoszono przetarg na dokumentacje projektową budowy ulicy Grażyny w Małym Kacku // fot. MGGP Aero / gdynia.polska3d.pl

Ogłoszono przetarg na dokumentacje projektową budowy ulicy Grażyny w Małym Kacku // fot. MGGP Aero / gdynia.polska3d.pl

Ogłoszono przetarg na opracowanie dokumentacji projektowo-kosztorysowej budowy ulicy Grażyny wraz z przebudową istniejącej infrastruktury technicznej z przyłączeniem do istniejącego układu drogowego. Miasto czeka na oferty.

Inwestycja podzielona będzie na dwa etapy. Pierwszy z nich obejmie budowę fragmentu ulicy od posesji nr 2 do nr 47 z jednoczesnym włączeniem kanalizacji deszczowej do istniejącej sieci kanalizacyjnej w dolnej części ulicy Grażyny. Natomiast drugi etap to budowa odcinka ulicy Grażyny od skrzyżowania przy posesji nr 2 do ul. Racławickiej z włączeniem projektowanej kanalizacji deszczowej do istniejącego Potoku Przemysłowego w ulicy Racławickiej.

- To bardzo ważne, aby planując inwestycje przede wszystkim wsłuchiwać się w potrzeby mieszkańców. Efektem tego jest m.in. planowana budowa ul. Grażyny, która w sposób znaczący wpłynie na komfort mieszkańców tej okolicy i uzupełni sieć gdyńskich dróg – mówi Marek Łucyk, wiceprezydent Gdyni ds. rozwoju.


 
Termin oddania dokumentacji:
  • wielobranżowy projekt budowlany – 70 tygodni od daty podpisania umowy,
  • uzgodnione projekty wykonawcze - w terminie o 4 tygodnie dłuższym od wskazanego dla projektu budowlanego.
Najwcześniejszy termin realizacji inwestycji to 2021 rok.

Oferty można składać do 4 października 2019 r. do godz. 11.00 poprzez platformę SmartPZP.

Więcej informacji w Biuletynie Informacji Publicznej.

  • ikonaOpublikowano: 04.09.2019 11:30
  • ikona

    Autor: Marta Jaszczerska-Zawadzka (m.jaszczerska@gdynia.pl)

  • ikonaZmodyfikowano: 04.09.2019 11:50
  • ikonaZmodyfikował: Agnieszka Janowicz
ikona